Skip To Content

243 G-4

Unincorporated, CA 93535
  • $16,000
  • STATUS: Active
  • ON SITE: 503 Days
  • ID#: SR24221347
UPDATED: 29 min ago
$16,000
  • 0
    BEDS
  • 10.95
    ACRES
  • 0
    BATHS
  • 0
    1/2 BATHS
Neighborhood:
Type:
Vacant Land / Lots
County:

School Ratings & Info

Description

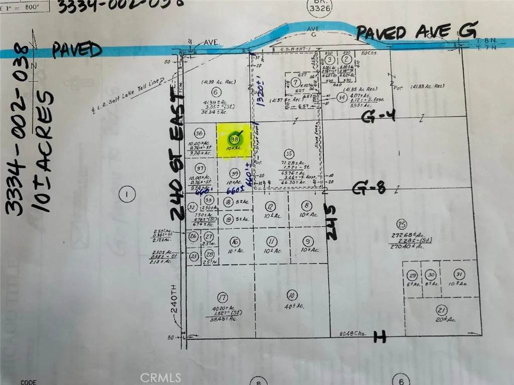
TAKE THE 14 FREEWAY TO AVENUE G, GO EAST ON AVE G TO 240TH STREEET EAST, GO SOUTH ON 240TH FOR 1320+- FEET, NOW GO EAST FOR 660+_ FEET. STOP. REFER TO THE AERIALS AND THE PLAT MAPS. Marketing Remarks: VERY NICE LOS ANGELES COUNTY PARCEL WITH GREAT VIEWS OF THE SAN GABRIEL MOUNTAINS. ONLY 1/4 MILE SOUTH OF PAVED AVE G. BUYERS MUST GO SEE THE LAND AND TAKE PICTURES. LOCATED IN UNINCORPORATED LOS ANGELES COUNTY. Buyers are advised to conduct their own Property investigations to satisfy themselves. Verify the Property's Condition. Buyers are to check with the appropriate Parties, City or County for all of the following, Zoning, permitted uses, legal access, size of parcel and buildable space, Legal Access Current easements & future easements, Future Zoning, Current & Future Uses of the Land. Buyers are to contact the appropriate parties to Investigate Any available utilities/services in the area, Water, Gas/Propane, Electricity, Sewer/Septic, etc. Buyers are to Hire and conduct a survey to ascertain the true Location of the Parcel. Buyers are to verify their own intended use of said property with the appropriate Parties, Zoning and Planning Department at the County or City. Buyers also advised to contact the California Department of Fish and Wildlife as to any protected plants, trees or species. Buyer to verify all information on the MLS, Size, Property lines depicted on Photos are just Estimated and the Buyer is to verify. LOCATED IN UNINCORPORATED LOS ANGELES COUNTY SO GO TO THE LA CO DEPARTMENT OF REGIONAL PLANNING. . VERIFY SIZE WITH LA CO. Agent Remarks: PLEASE WRITE BOTH

Monthly Payment Calculator



San Diego MLS logo This information is deemed reliable but not guaranteed. You should rely on this information only to decide whether or not to further investigate a particular property. BEFORE MAKING ANY OTHER DECISION, YOU SHOULD PERSONALLY INVESTIGATE THE FACTS (e.g. square footage and lot size) with the assistance of an appropriate professional. You may use this information only to identify properties you may be interested in investigating further. All uses except for personal, non-commercial use in accordance with the foregoing purpose are prohibited. Redistribution or copying of this information, any photographs or video tours is strictly prohibited. This information is derived from the Internet Data Exchange (IDX) service provided by San Diego MLS. Displayed property listings may be held by a brokerage firm other than the broker and/or agent responsible for this display. The information and any photographs and video tours and the compilation from which they are derived is protected by copyright. Compilation © 2026 San Diego MLS, Inc. Licensed in the state of California.
www.gellens.com/homes/157170106
Print Image

243 G-4 Unincorporated, CA 93535

  • Price: $16,000
  • Status: Active
  • On Site: 503 Days
  • Updated: 29 min ago
  • ID#: SR24221347
0
Beds
0
Baths
0
½ Baths
10.95
Acres
Neighborhood:
Lancaster (93535)
County:
Los Angeles
Area:
Lancaster (93535)
Property Description
TAKE THE 14 FREEWAY TO AVENUE G, GO EAST ON AVE G TO 240TH STREEET EAST, GO SOUTH ON 240TH FOR 1320+- FEET, NOW GO EAST FOR 660+_ FEET. STOP. REFER TO THE AERIALS AND THE PLAT MAPS. Marketing Remarks: VERY NICE LOS ANGELES COUNTY PARCEL WITH GREAT VIEWS OF THE SAN GABRIEL MOUNTAINS. ONLY 1/4 MILE SOUTH OF PAVED AVE G. BUYERS MUST GO SEE THE LAND AND TAKE PICTURES. LOCATED IN UNINCORPORATED LOS ANGELES COUNTY. Buyers are advised to conduct their own Property investigations to satisfy themselves. Verify the Property's Condition. Buyers are to check with the appropriate Parties, City or County for all of the following, Zoning, permitted uses, legal access, size of parcel and buildable space, Legal Access Current easements & future easements, Future Zoning, Current & Future Uses of the Land. Buyers are to contact the appropriate parties to Investigate Any available utilities/services in the area, Water, Gas/Propane, Electricity, Sewer/Septic, etc. Buyers are to Hire and conduct a survey to ascertain the true Location of the Parcel. Buyers are to verify their own intended use of said property with the appropriate Parties, Zoning and Planning Department at the County or City. Buyers also advised to contact the California Department of Fish and Wildlife as to any protected plants, trees or species. Buyer to verify all information on the MLS, Size, Property lines depicted on Photos are just Estimated and the Buyer is to verify. LOCATED IN UNINCORPORATED LOS ANGELES COUNTY SO GO TO THE LA CO DEPARTMENT OF REGIONAL PLANNING. . VERIFY SIZE WITH LA CO. Agent Remarks: PLEASE WRITE BOTH
Exterior Features

Fencing N/K

Interior Features

Bathrooms Total 0

Property Features

Association Fee 0 Association Name N/A Building Area Total 0 CFDMello Roos Fee 34 CFDMello Roos Fee Reflct Year List AOR Southland Listing Terms Cash Monthly Total Fees 2 Property Sub Type Lots/Land Sale Rent For Sale Utilities N/K

San Diego MLS logo Listing provided courtesy of William Ryan of William Ryan Real Estate Broker: 661-273-9090. Listing information © 2026 San Diego MLS Inc. Source: CRMLS


San Diego MLS logo This information is deemed reliable but not guaranteed. You should rely on this information only to decide whether or not to further investigate a particular property. BEFORE MAKING ANY OTHER DECISION, YOU SHOULD PERSONALLY INVESTIGATE THE FACTS (e.g. square footage and lot size) with the assistance of an appropriate professional. You may use this information only to identify properties you may be interested in investigating further. All uses except for personal, non-commercial use in accordance with the foregoing purpose are prohibited. Redistribution or copying of this information, any photographs or video tours is strictly prohibited. This information is derived from the Internet Data Exchange (IDX) service provided by San Diego MLS. Displayed property listings may be held by a brokerage firm other than the broker and/or agent responsible for this display. The information and any photographs and video tours and the compilation from which they are derived is protected by copyright. Compilation © 2026 San Diego MLS, Inc. Licensed in the state of California.
 
https://bt-photos.global.ssl.fastly.net/sandiego/orig_boomver_2_306295984-1.jpg https://bt-photos.global.ssl.fastly.net/sandiego/orig_boomver_2_306295984-1.jpg https://bt-photos.global.ssl.fastly.net/sandiego/orig_boomver_2_306295984-1.jpg
Logo
Maxine & Marti Gellens | Berkshire Hathaway HomeServices California Properties
7910 Girard Ave Ste 9
La Jolla CA, 92037